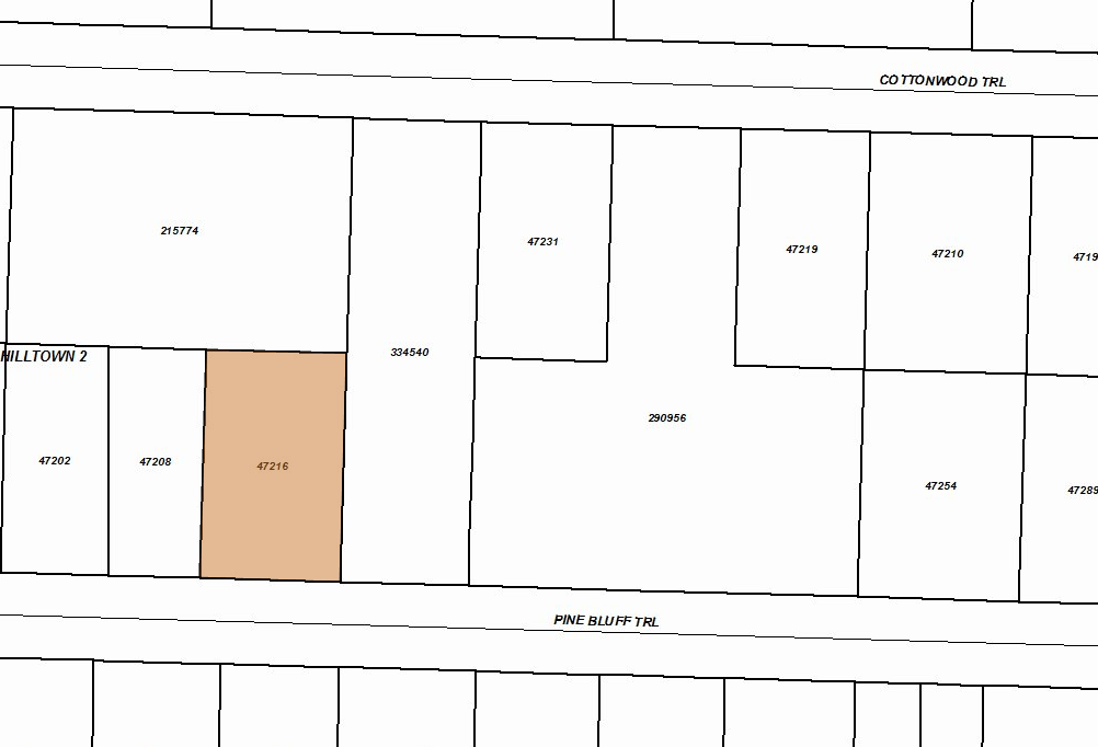
Pine Bluff Trail, Little Elm, TX 75068

Pine Bluff Trail Little Elm TX

For Rent
  • $
  • Sq Ft: 5,998
  • Land: .1377 Acres

Description

.1377 Acres / 5,998 sq ft

Legal Description: Hilltown 2 Lot 248

Property ID Number: 47216

Details

Address:Pine Bluff Trail
City:Little Elm
State:TX
Zip Code:75068
Square Feet:5,998
Lot Size:.1377 Acres

Photos

Contact Us About This Listing

Listing information is provided exclusively for personal, noncommercial use, and may not be used for any purpose other than to identify prospective properties consumers may be interested in purchasing. All data is deemed reliable but is not guaranteed accurate.